Działka na sprzedaż

Barwino
OFERTA NR: 6656618
99 000 zł

Specyfikacja

CENA
99 000 zł
STATUS
Aktualna
LOKALIZACJA
Barwino
POWIERZCHNIA
11300 m2
PIĘTRO
0
ILOŚĆ POKOI
3
WPROWADZONO
2024-04-12
CENA ZA M2
8.76 zł

Opis nieruchomości

ZAPRASZAMY DO ZAPOZNANIA SIĘ Z OFERTĄ SPRZEDAŻY TRZECH DZIAŁEK POŁOŻONYCH W SPOKOJNEJ MIEJSCOWOŚCI BARWINO, W GMINIE KĘPICE. DZIAŁKA ROLNA O POWIERZCHNI 11300 M2 ORAZ DWIE MNIEJSZE DZIAŁKI (ŁĄKI I PASTWISKA) O POWIERZCHNI 5355 M2 ORAZ 5046 M2!


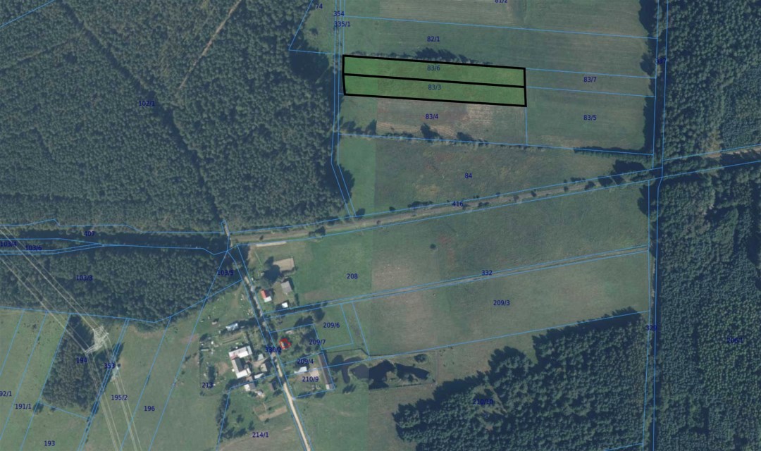
Proponujemy do sprzedaży działkę rolną o powierzchni ponad 1 hektara, działka położona przy głównej drodze wojewódzkiej nr 209 między miejscowościami Barcino i Barwino. Dojazd do nieruchomości drogą publiczną asfaltową. Działka płaska, w kształcie prostokąta. 

Cisza i spokój, które towarzyszą temu miejscu są bezcenne. Oddzielając się od miejskiego hałasu, można naprawdę w pełni zrelaksować się i cieszyć się wieczorami przy dźwiękach natury. To doskonałe miejsce dla osób, które pragną uciec od codziennego stresu i odnaleźć spokój wśród pięknych krajobrazów. W odległości kilku kilometrów od nieruchomości znajdują się jeziora Obłęże, Korzybie, Kryształ, Pałac, Łętowo oraz rzeka Wieprza.


CENA: 
Działka nr 83/3 – powierzchnia 5355 m2/ CENA: 40 000 PLN
Działka nr 83/6 – powierzchnia 5046 m2/ CENA: 40 000 PLN 


Działka nr 187/3 (działka rolna) powierzchnia 11300 m2. Działka znajduje się przy drodze między Barcinem a Barwinem.
CENA: 99 000 PLN 
Strona Kupująca pokrywa wynagrodzenie prowizyjne dla biura.


DODATKOWE INFORMACJE:
- media w drodze: sieć telekomunikacyjna,
- dojazd do działki nr 187/3 drogą wojewódzką nr 209, 
- dojazd do działek nr 83/3 i 83/6 przez miejscowość Gościeradz.


Więcej informacji uzyskasz kontaktując się z nami:
799 799 397 – Dominika Szramiak (opiekun oferty)
728 202 030 – Marta Patyna
669 647 067 Karolina Jakuczun
503 901 101 – Adrianna Iwanicka
728 111 007 – Przemek Pryzwan
799 799 313 – Marta Rutkowska

Serdecznie zapraszam Państwa na prezentację nieruchomości, z przyjemnością odpowiem na wszelkie pytania oraz udzielę dodatkowych informacji.

Zamierzasz kupić nieruchomość i skorzystać z finansowania banku? Pomożemy dokonać Ci dobrego wyboru najlepszej oferty spośród wielu banków. Nasz doradca dostosuje ofertę kredytu hipotecznego do Twoich potrzeb i oczekiwań oraz będzie do Twojej dyspozycji na każdym etapie procesu kredytowego.

Niniejsza oferta nie stanowi oferty w rozumieniu Kodeksu Cywilnego, a dane w niej zawarte mają jedynie charakter informacyjny i mogą ulec zmianie.


Masz pytania odnośnie oferety? Napisz do nas.
WYSZUKAJ NIERUCHOMOŚĆ
KALKULATOR KOSZTÓW

Podatek PCC:

Taksa notarialna:

VAT od taksy notarialnej:

Opłaty sądowe:

Wypis aktu notarialnego:

Prowizja pośrednika:

VAT od prowizji pośrednika:

Suma:

MAPA